この画像を大きなサイズで見る南米、チリやアルゼンチンに生息する甲虫の標本を調べていたデンマークの昆虫学者は驚いた。そこに瓶のお酒を開けるときに馴染みのものを見つけたからだ。
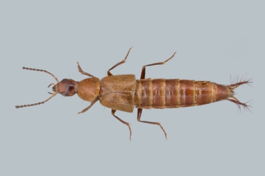
それはハネカクシ科の新種で、体長1cmほどの一見地味な体をしている。ところがオスはまるで栓抜きのような生殖器をぶら下げているのだ。
そこでつけられた学名は、世界で愛されるデンマークのビール「カールスバーグ」にちなみ「Loncovilius carlsbergi(ロンコビリウス・カールスベルギ)」となった。
デンマーク自然史博物館の研究チームは、危機に瀕している生き物たちの状況に関心を持ってもらうため、この新種の甲虫のイチモツをモチーフにした栓抜きまでデザインしている。
栓抜きのような生殖器を持つ新種の甲虫
ビールの名前がつけられた新種の昆虫は、デンマーク、コペンハーゲン大学デンマーク自然史博物館で以前から保管されていた標本で、今回発見された6種のハネカクシの新種の1つだ。
ハネカクシは、コウチュウ目ハネカクシ上科ハネカクシ科 に属する昆虫の総称だ。前翅が小さく、ここに大きな後翅を細かく折りたたんで隠しているように見えるものが多いことから日本ではハネカクシと呼ばれている。
今回発見された新種のハネカクシのオスの生殖器はデンマークでおなじみの栓抜きの形そっくりだったという。
そこで デンマーク自然史博物館のアスラック・カッペル・ハンセン氏は、長年にわたり研究を支援してくれたカールスバーグ財団にこの発見を捧げるべく、「カールスバーグ」ビールの名にちなみ、「Loncovilius carlsbergi(ロンコビリウス・カールスベルギ)」と名付けたという。
この画像を大きなサイズで見る一口に栓抜きといっても、いくつか種類があるが、L. carlsbergiのイチモツは、先端がリングになっているものではなく、どことなく口を開けた動物の横顔のように見えるタイプだ。
とてもユニークな見た目だが、このイチモツがどのように威力を発揮するのか、詳しい説明はない。だが昆虫の生殖器は、往々にしてその種のシンボルのようなものであるらしい。
「昆虫の生殖器は、種によってそれぞれ違う進化をしています。ですから、しばしば種を特定するのに1番わかりやすい方法だったりします。そのようなわけで、私たちのような昆虫学者は、種を見定めるため、とりあえず生殖器を調べます」
そうした種それぞれにユニークな生殖器は、自分とは違う種と交わることを防ぐ役割があるのだそうだ。
この画像を大きなサイズで見る新種の生殖器をモチーフにした栓抜きで世間にアピール
新種のハネカクシは、チリとアルゼンチンにしか生息していない。それはほかの生き物と同じく、彼らもまた危険な状況にあるということだ。
今地球では、毎日150種もの生き物が絶滅していると考えられているが、そのほとんどが名もない生き物だ。
研究者たちは、彼らが人知れず消えてしまう前に、どうにかすべての種を発見しようと必死に調査を続けている。
デンマーク自然史博物館のジョシュ・ジェンキンス・ショー氏によれば、地球上の全生物種の85%が、まだ正式に命名されていないと考えられるという。
「たくさんの種が、科学的に記載されることなく絶滅しています。それは人類が知らぬまま姿を消しているということです。きちんと学名を与えることが大切なのは、自然の保全活動は、その地域についての知識が基本になるからです。きちんと記載されていない種は、保全の取り組みから取り残されてしまいます」
危機感を抱く研究チームの秘策は、乾杯を通じて人々に関心を持ってもらうことだ。そのために、L. carlsbergiのイチモツをモチーフにした栓抜きをデザインした。
この画像を大きなサイズで見るビールを片手に、地球の生き物たちが直面している状況について語り合えば、何か良いアイデアが浮かんでくるかもしれない。ちなみに人間の息子スティックは30年で2割以上も伸びたそうだが、これはまた別の話だ。
この研究は『Zoological Journal of the Linnean Society』(2023年10月28日付)に掲載された。
References:New beetle species has bottle-opener shaped genitalia: Now that calls for a Carlsberg! – University of Copenhagen / Newfound beetle has a penis like a bottle opener, is named after beer / written by hiroching / edited by / parumo
















ハネカクシの名前見ると無意識に身構えてしまう
毒あるのはやけど虫のアイツだけってのはわかってるんだけど
そ、その栓抜きで何をする気だ…!?(; ゚д゚)
メスは王冠かぶったビンみたい、なわけはない、よね?
抜くんだろ
日本でもアンガの山根が専門家と一緒に新種発見してたね。
まだまだ誰も知らない新種がいると思うとワクワクする。
ポン!!
シュワ~。